![[foto de la noticia]](/foto-articulo-fichero_32248_20190904.jpg,330,200,0.jpg)
Fundación Mutua aumenta un 33% la dotación de sus ayudas a proyectos sociales hasta el millón de euros. La Fundación acaba de abrir la convocatoria y los interesados podrán presentar sus proyectos hasta el próximo 2 de octubre a través de la web de...
04/09/2019 - Redacción
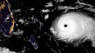
![[foto de la noticia]](/foto-articulo-fichero_32246_20190904.jpg,330,200,0.jpg)
Las reaseguradoras están experimentando un 'déjà vu'. Y es que, por tercer año consecutivo, Florida se enfrenta a un gran huracán. Tras su paso devastador por Bahamas, Dorian amenaza ahora a la costa suroriental de EE UU, con alta densidad de...
04/09/2019 - Redacción
![[foto de la noticia]](/foto-articulo-fichero_32247_20190904.jpg,330,200,0.jpg)
El negocio de reaseguro se mantendrá estable y plano en los próximos años. Es una de las conclusiones del informe '2020 Reinsurance sector Outlook: secular headwinds continue despite positive pricing momentum' que S&P publicó ayer y en el que deja...
04/09/2019 - Redacción
![[foto de la noticia]](/foto-articulo-fichero_32252_20190904.jpg,330,200,0.jpg)
Mapfre ha anunciado la adquisición de un 10% del capital de la entidad financiera independiente Abante, con la opción de comprar otro 10% más dentro de 3 años. Ambas entidades forman así una alianza estratégica para crear una plataforma...
04/09/2019 - Redacción
![[foto de la noticia]](/foto-articulo-fichero_32242_20190903.jpg,330,200,0.jpg)
Ponle Freno, la acción de Atresmedia y Fundación AXA para promover la seguridad vial, estrena su nueva campaña. En esta ocasión, el objetivo es fomentar la movilidad segura y sostenible. Por ello, la iniciativa gira en torno al lema "Te muevas como...
03/09/2019 - Redacción
La prima media en el seguro de Autos experimentó una leve recuperación en el segundo trimestre de 2019, elevándose hasta los 352 euros, según datos extraídos del Barómetro Avant2 en el periodo abril-junio de este año. En lo que respecta al Barómetro ...
03/09/2019 - Redacción
![[foto de la noticia]](/foto-articulo-fichero_32241_20190903.jpeg,330,200,0.jpg)
La complejidad en los proyectos de ingeniería y construcción en los que se invierten miles de millones de dólares y se alargan en el tiempo hacen que los posibles siniestros sean cada vez más costosos, según un análisis de AGCS.
La compañía ha...
03/09/2019 - Redacción
![[foto de la noticia]](/foto-articulo-fichero_32240_20190903.jpg,330,200,0.jpg)
Hasta agosto, las matriculaciones en renting han crecido un 7% hasta las 210.074 unidades, a pesar de que en este último mes se ha producido un descenso del 8,66% respecto al mismo mes del año anterior.
El peso del renting en el total del...
03/09/2019 - Redacción
![[foto de la noticia]](/foto-articulo-fichero_32239_20190903.jpg,330,200,0.jpg)
Facua ha pedido al Gobierno y a todas las fuerzas políticas que se pongan de acuerdo para modificar urgentemente la Ley de Seguridad Alimentaria, con el objetivo de obligar a las empresas alimentarias a que cuenten con un seguro y también aporten...
03/09/2019 - Redacción
![[foto de la noticia]](/foto-articulo-fichero_32238_20190903.jpg,330,200,0.jpg)
La incertidumbre presente en los mercados financieros durante el pasado mes de agosto ha tenido su traducción en el patrimonio de los fondos de inversión. Según los datos que ha dado a conocer Inverco en el pasado mes se registró un ajuste de 2.971...
03/09/2019 - Redacción
CARTA DEL MEDIADOR y CARTA DEL SEGURO
Lo último
- La Nationale-Nederlanden San Silvestre Vallecana se presenta como "la carrera de todos"
- Fundación Mapfre dedicará su mercadillo solidario de Navidad a la Asociación Guerreros Púrpura
- Grupo Santalucía aspira a que en 2028 el 70% de sus inversiones cumplan los criterios ASG
- La prima de los seguros de Salud aumenta un 19% y puede variar hasta un 72% en función de la edad
- Berkley y el Colegio de Valencia renuevan su alianza por 5º año consecutivo
- Estas son las principales amenazas para la empresa española, según Crédito y Caución
- El 80% de las pólizas de Salud corporativas se renovarán antes de fin de año
- Mapfre amplía las sesiones de psicoterapia en su seguro de Salud hasta 40 al año



![[foto de la noticia]](/foto-articulo-fichero_66739_20251203.jpg,310,150,0.jpg)
![[foto de la noticia]](/foto-articulo-fichero_66805_20251205.jpg,310,150,0.jpg)
![[foto de la noticia]](/foto-articulo-fichero_66800_20251205.jpg,310,150,0.jpg)
![[foto de la noticia]](/foto-articulo-fichero_66730_20251203.jpg,310,150,0.jpg)
![[foto de la noticia]](/foto-articulo-fichero_66803_20251205.jpg,310,150,0.jpg)

